Our Projects

Showcasing our expertise in civil engineering and land development across Idaho.

Residential
Mixed Use
Land Development
Residential 2025

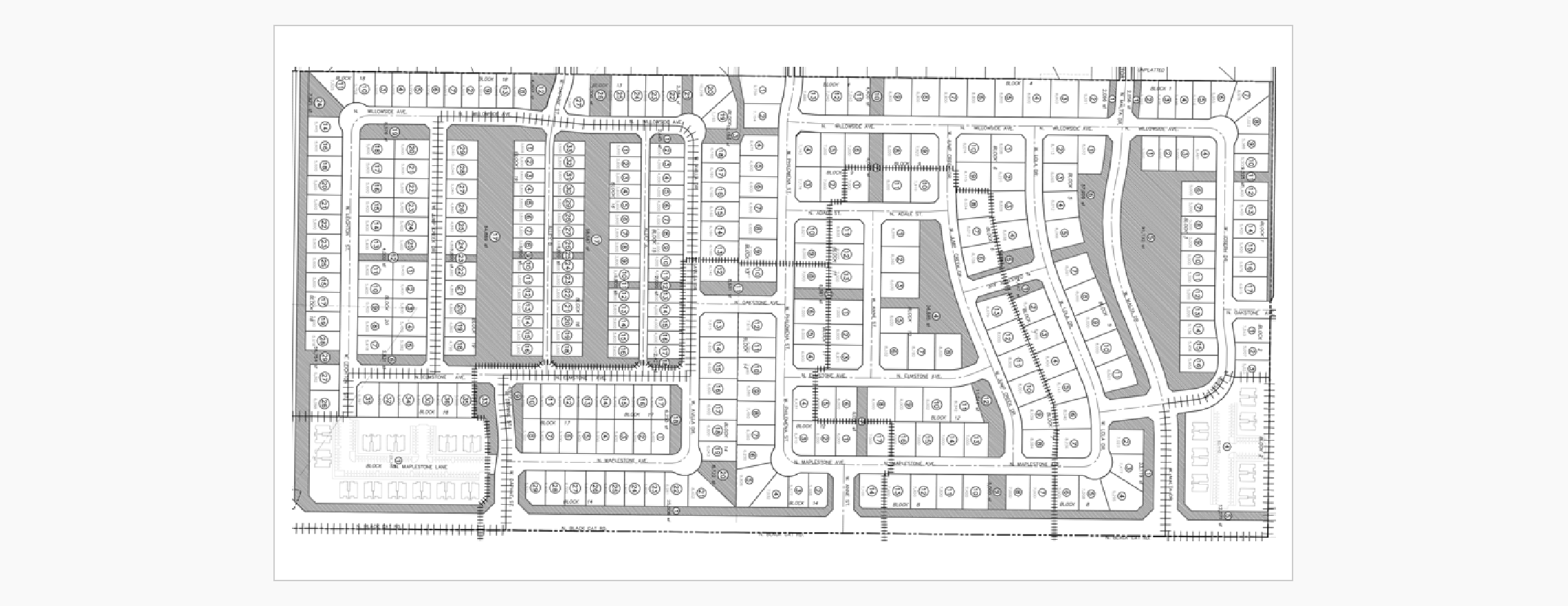
Swainson's Hawk Arbor Subdivision

Preliminary plat for a single-family residential community in Nampa, Idaho, with 146 buildable lots, extensive open space, public streets, and full utility service including sewer, water, pressure irrigation, and stormwater facilities.

Location Nampa, Idaho
Total Size 39.92 acres
Development Breakdown
Single Family: 146 lots
Services Provided
Civil Engineering Subdivision Design Grading & Earthwork Street Design Sewer & Water Stormwater/Drainage Pressure Irrigation Open Space Planning
Mixed Residential 2021

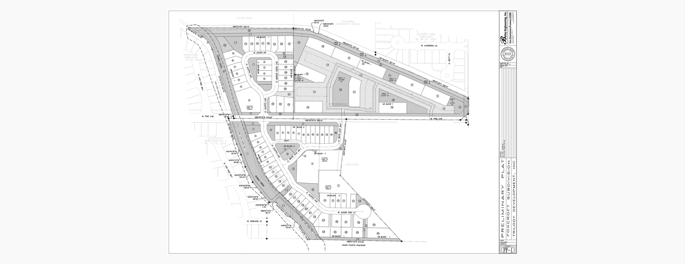
Foxcroft Subdivision

Preliminary plat for a mixed residential development including 75 single-family lots and 216 multi-family units, with grading, street, sewer, domestic water, pressure irrigation, storm drainage, and open space planning.

Location Meridian, Idaho
Total Size 35.72 acres
Development Breakdown
Single Family: 75 lots Multi Family: 216 units
Services Provided
Civil Engineering Subdivision Design Grading & Earthwork Street Design Sewer & Water Stormwater/Drainage Pressure Irrigation Open Space Planning
Mixed Use 2020

Ledgestone Plaza Subdivision

Preliminary plat for a mixed-use community featuring single-family homes, apartments, and commercial parcels. The design includes grading, roadways, utilities, pressure irrigation, storm drainage, and extensive open space and common areas.

Location Kuna, Idaho
Total Size 76.03 acres
Development Breakdown
Single Family: 233 lots Multi Family: 192 units Commercial: 6 lots
Services Provided
Civil Engineering Subdivision Design Grading & Earthwork Street Design Sewer & Water Stormwater/Drainage Pressure Irrigation Commercial Site Planning Open Space Planning
Residential 2019

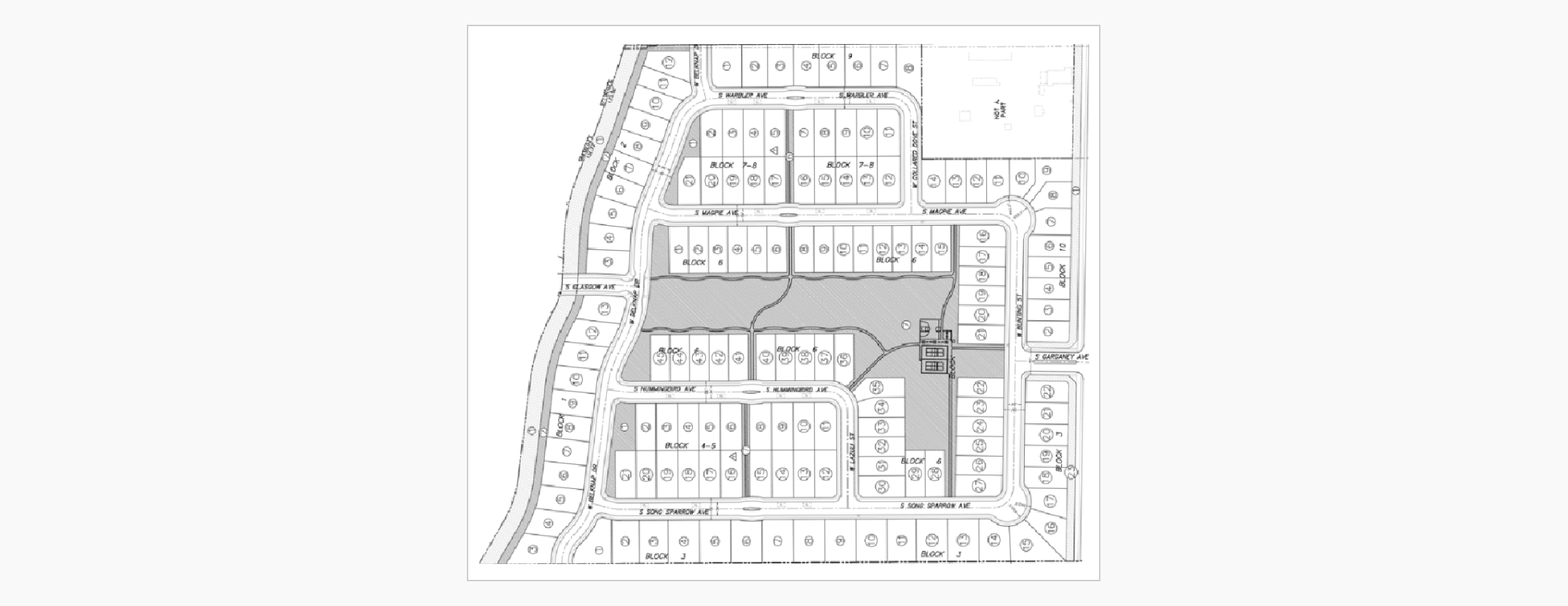
Gander Creek Subdivision (North)

Preliminary plat for large-scale single-family residential development, providing 156 homes with associated infrastructure including grading, street networks, utilities, irrigation, drainage, and open space amenities.

Location Meridian, Idaho
Total Size 51.46 acres
Development Breakdown
Single Family: 156 lots
Services Provided
Civil Engineering Subdivision Design Grading & Earthwork Street Design Sewer & Water Stormwater/Drainage Pressure Irrigation Open Space Planning
Residential 2019

Gander Creek Subdivision (South)

Preliminary plat for large-scale single-family residential development, providing 245 homes with associated infrastructure including grading, street networks, utilities, irrigation, drainage, and open space amenities.

Location Meridian, Idaho
Total Size 65.64 acres
Development Breakdown
Single Family: 245 lots
Services Provided
Civil Engineering Subdivision Design Grading & Earthwork Street Design Sewer & Water Stormwater/Drainage Pressure Irrigation Open Space Planning
Residential 2014

Jump Creek Subdivision

Preliminary plat for a large-scale residential development in Meridian, Idaho, featuring single-family homes, multi-family units, and common open spaces. Infrastructure includes grading, roadways, utilities, irrigation, stormwater drainage, and neighborhood amenities.

Location Meridian, Idaho
Total Size 86.08 acres
Development Breakdown
Single Family: 321 lots Multi Family: 76 units
Services Provided
Civil Engineering Subdivision Design Grading & Earthwork Street Design Sewer & Water Stormwater/Drainage Pressure Irrigation Multi-Family Integration Open Space Planning

Ready to Join Our Success Stories?

Let's discuss how we can bring our expertise to your next project.

Looking for Comprehensive GIS Data?

Check out landproDATA - our data-driven mapping tool developed by land professionals for land professionals.

Get comprehensive, accurate GIS data and visuals you need to excel in the office or out in the field.

Visit landproDATA